





























Loading banners


NEWS EXPRESS is Nigeria’s leading online newspaper. Published by Africa’s international award-winning journalist, Mr. Isaac Umunna, NEWS EXPRESS is Nigeria’s first truly professional online daily newspaper. It is published from Lagos, Nigeria’s economic and media hub, and has a provision for occasional special print editions. Thanks to our vast network of sources and dedicated team of professional journalists and contributors spread across Nigeria and overseas, NEWS EXPRESS has become synonymous with newsbreaks and exclusive stories from around the world.

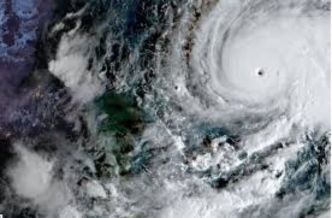
Hurricane Melissa made landfall in western Jamaica early Tuesday afternoon as a powerful Category 5 storm and the strongest ever to directly hit the Caribbean nation of 2.8 million people.
Melissa made landfall near the town of New Hope, some 62 km (39 miles) south of Montego Bay, packing maximum sustained winds of 185 mph (295 kph), the U.S. National Hurricane Center said in its latest advisory.
The most powerful level on the Saffir-Simpson scale, Category 5, requires speeds of at least 157 mph.
The slow-moving storm is forecast to remain a powerful hurricane as it crosses the mountainous island, whose highland communities are vulnerable to landslides and flooding, and heads towards Santiago de Cuba, Cuba?s second-largest city.
The Miami-based hurricane center warned that ?total structural failure? was likely in Melissa?s path.
?The destruction could be unlike anything people in Jamaica have seen before,? said U.S. forecaster AccuWeather?s lead hurricane expert, Alex DaSilva. ?The island has never taken a direct hit from a Category 4 or a Category 5 hurricane in recorded history.?
Melissa is the third most intense hurricane observed in the Caribbean after Wilma in 2005 and Gilbert in 1988, according to AccuWeather.
Gilbert was the last major storm to directly hit the island.
Shortly before landfall, Jamaican electric utility JPS said power outages had affected more than a third of its customers. In its worst-hit parishes, some three-quarters of customers lost power, JPS said.
Local Government Minister Desmond McKenzie told reporters that nearly 6,000 people had moved into temporary shelters. The government had issued mandatory evacuation orders for some 28,000 people, but some were reluctant to leave their homes.
?Don?t bet against Melissa, because you will lose,? warned McKenzie, as authorities implored residents to seek protection in shelters and fortify their residences.
JAMAICA?S ?STORM OF THE CENTURY?
?It?s a catastrophic situation,? the World Meteorological Organization?s tropical cyclone specialist Anne-Claire Fontan told a press briefing. ?For Jamaica, it will be the storm of the century for sure.?
Storm surges of up to four meters were expected, she said, with rainfall set to exceed 70 cm (2.3 feet), causing ?catastrophic flash flooding and landslides,? she said.
Nearby Haiti and the Dominican Republic have faced days of torrential downpours leading to at least four deaths, authorities said. At least three people died during storm preparations in Jamaica, local media reported.
After crossing eastern Cuba, still as a powerful storm, Melissa is forecast to head through the Bahamas, where Prime Minister Philip Davis has ordered evacuations for people in southern and eastern parts of the archipelago.
In Cuba, authorities said they had evacuated upwards of 500,000 people from areas vulnerable to winds and flooding.
?There are no half measures,? Cuban President Miguel Diaz-Canel said in a message published in state newspaper Granma, in which he urged people in areas vulnerable to flooding, strong winds, and storm surges to evacuate and accept help.
?Melissa will arrive with force, and there?s great concern about what it could destroy in its wake,? he said.
STORM INTENSIFIED ON APPROACH
Melissa?s slow movement over unusually tepid Caribbean water had contributed to its ballooning size and strength, NHC forecasters said, threatening Jamaica with days of never-before-seen catastrophic winds and rain.
Melissa could bring up to 30 inches (762 mm) of rain to parts of Jamaica, and up to 12 inches to parts of the island of Hispaniola, the NHC said.
The International Federation of the Red Cross said up to 1.5 million people in Jamaica were expected to be directly affected by the storm.
?Today will be very difficult for tens of thousands, if not millions of people in Jamaica,? IFRC official Necephor Mghendi said via video link from Port of Spain in Trinidad and Tobago.
?Roofs will be tested, flood waters will rise, isolation will become a harsh reality for many.?
To enable swift relief distribution, essential items ? tarpaulins, hygiene kits, blankets, and safe drinking water ? had been pre-positioned in Red Cross branches on the island, he said, with over 800 shelters set up for evacuees.
?A DIRE SITUATION UNFOLDING IN SLOW MOTION?
Melissa made landfall in southwestern Jamaica, which was one of the areas worst-hit by last year?s Hurricane Beryl.
On Monday, Prime Minister Andrew Holness ordered mandatory evacuations for parts of southern Jamaica, including the historic town of Port Royal.
He warned of damage to farmlands, homes, and infrastructure on the island, which is roughly the size of Connecticut and whose main airports sit close to sea level.
?There is no infrastructure in the region that can withstand a Category 5,? he said.
Holness said his government was as prepared as possible, with an emergency response budget of $33 million and insurance and credit provisions for damage a little larger than that sustained from Beryl.
Beryl was the earliest and fastest Atlantic hurricane on record to reach Category 5, but scientists warn that storms are becoming stronger and faster as a result of climate change warming ocean waters.
?Slow-moving major hurricanes often go down in history as some of the deadliest and most destructive storms on record,? said AccuWeather Chief Meteorologist Jonathan Porter. ?This is a dire situation unfolding in slow motion.? (Reuters)
?Residents self-evacuate under pouring rain from Playa Siboney to safe locations ahead of the arrival of Hurricane Melissa, in Santiago de Cuba, Cuba, October 28, 2025. (Yamil Lage/AFP via Getty Images)